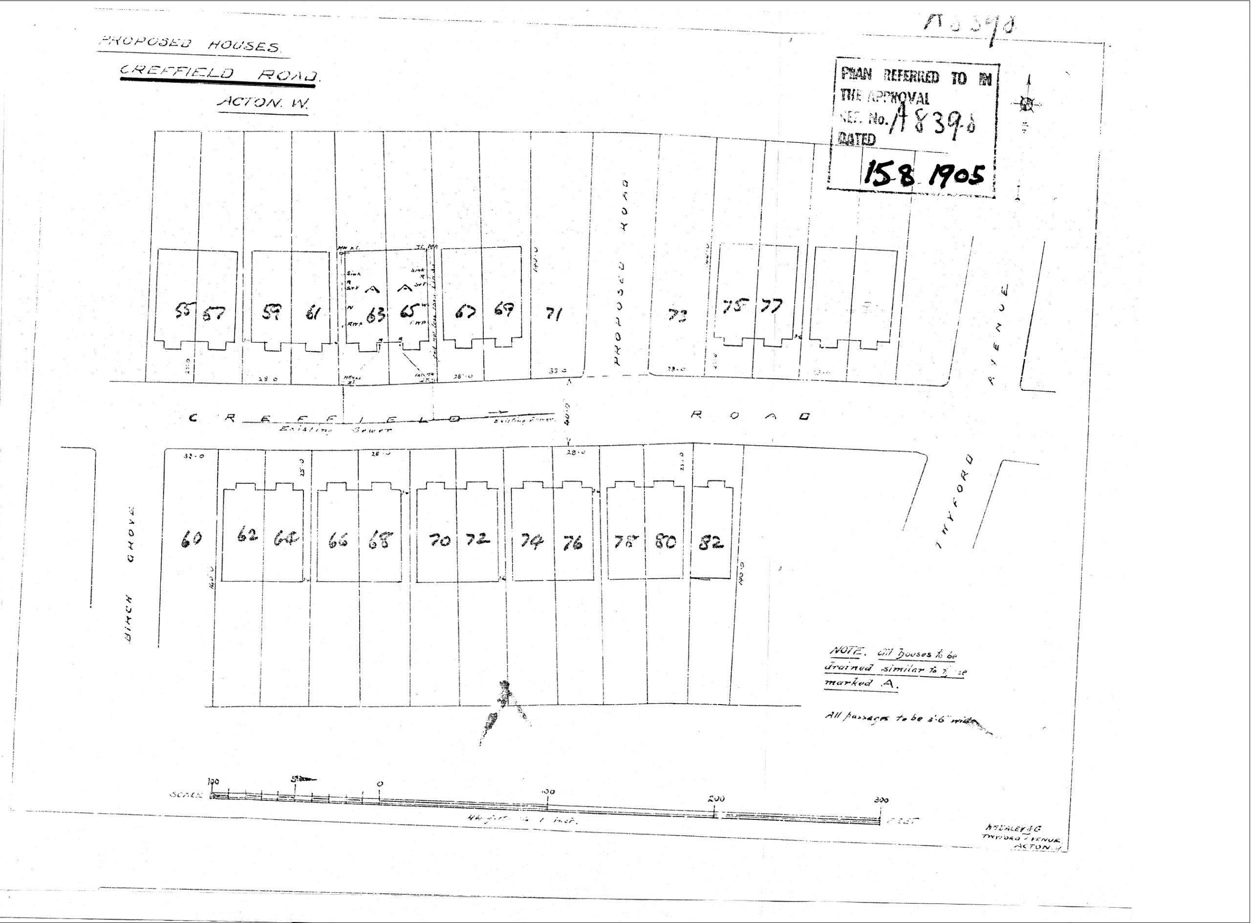
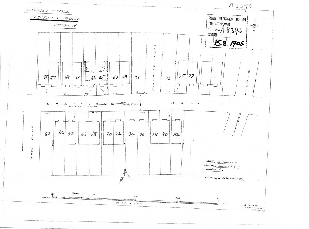
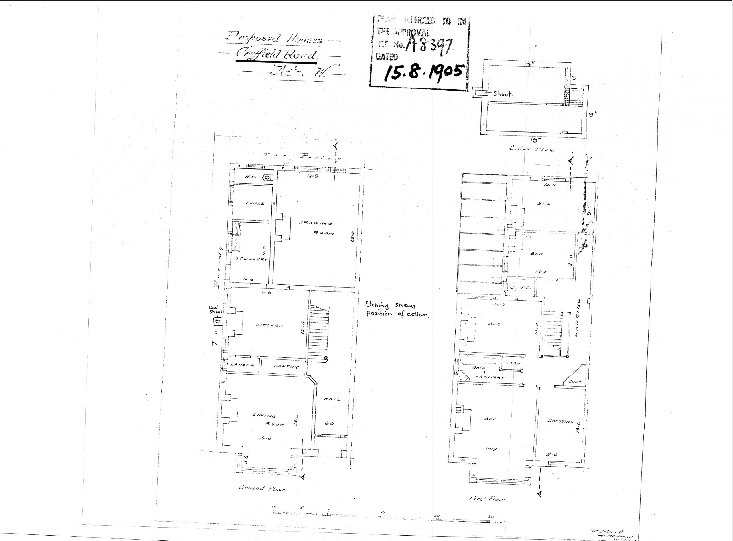
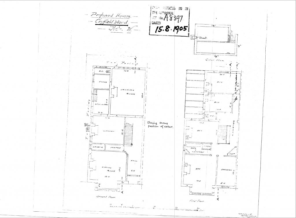
Original House Plans and Drawings We have a number of original house plans for the Creffield area. These have been scanned and are available below. 3 Birch Grove Floor Plan (Henry Smith) 3 Birch Grove Elevations (Henry Smith Birch Grove Floor Plan 1906 (William Daley) Birch Grove Section 1906 (William Daley) 55-81 Creffield Road, Proposed Houses 1905 (William Daley) Creffield Road Floor Plan 1905 (William Daley) Creffield Road Section 1905 (William Daley) 64-78 Creffield Road, Proposed Houses 1907 64-78 Creffield Road Section 1907 64-78 Creffield Road Floor Plan 1907 Twyford Avenue Section and Attic 1902 (William Daley) Twyford Avenue Section 1902 Twyford Avenue Section 1902 (William Daley) Twyford Avenue Floor Plan 1902 Twyford Avenue Floor Plan Twyford Avenue Floorplan 1902 Western Gardens Road Plan and drains 1909 Western Gardens Floorplan 1909 St Martin’s Church Floorplan 1906